Las obras de la empresa REBI para instalar la Red de Calor en Cuenca implican a partir de este martes 21 de mayo la apertura de una nueva zanja en la calle Hurtado de Mendoza y, con ello, cambios en la movilidad en tanto en cuanto se lleven a cabo los trabajos de instalación de la red.
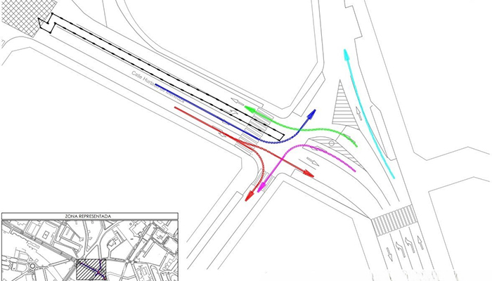
De este modo, dicha calle Hurtado de Mendoza pasará a tener, provisionalmente, dos carriles de subida desde avenida República Argentina hacia la glorieta del Xúcar (en vez de los tres actuales), de manera que el de la derecha derivará el tráfico tanto hacia la calle Diego Jiménez como Fermín Caballero, y el que está justo a su lado hacia calle Cervantes.
Por su parte, el carril de bajada desde Fermín Caballero hacia la propia Hurtado de Mendoza se mantendrá tal cual.

